Home PageLocomotivesFreightPassengerNYC TimetablesScenes along the Right of WayStations and BuildingsNYC MapsOther stuff on the CASO and NYCLinks to Other NYC related sitesCanada Southern Website Search

  To view larger images of all photos, click on the photo. Use the back button on your browser to return to the previous screen.

 

Fraser

Located 5.77 miles from Suspension Bridge on the Mainline.

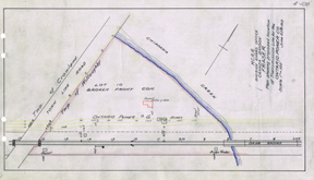
Fraser Map

Fraser

Fraser Drawbridge

Fraser Drawbridge

Fraser Drawbridge

Fraser Drawbridge

Fraser Drawbridge

Fraser Drawbridge

Fraser Drawbridge

Fraser Drawbridge

Fraser Drawbridge

Fraser Drawbridge

Fraser Drawbridge

Fraser Drawbridge

Fraser Drawbridge

Fraser Drawbridge

Fraser Drawbridge

Fraser Drawbridge

Fraser Drawbridge

Fraser Drawbridge

Fraser Drawbridge



Fraser Drawbridge

WESTBOUND FREIGHT DEPARTING MONTROSE